Другие названия и синонимы
Bryonia, адамов корень, бриония белая, Wild Hops, White Bryony.
Описание
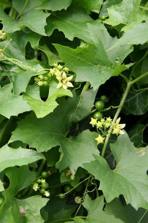
Переступень белый - травянистая лиана с толстым корнем и несколькими тонкими длинными (до 4 м длины) побегами, которые с помощью усиков взбираются на опоры. Листья простые, с шероховатой поверхностью, пятилопастные (отличие от цельных листьев тамуса). Цветки раздельнополые, но находятся на одном растении (однодомное растение). Женские цветки зеленоватого или желтого цвета, собраны в щитковидные кисти. Переступень белый имеет плоды, обычно довольно многочисленные, черные шаровидные ягоды. Цветет в июне-июле, плоды созревают в июле-августе.
Близкий вид - переступень двудомный - вryonia dioica - отличается красными ягодами. Этот вид тоже растет на Кавказе, но только в более южных районах, а также в Средней Азии.
Оба растения очень широко применяются в народной медицине.
Близкий вид - переступень двудомный - вryonia dioica - отличается красными ягодами. Этот вид тоже растет на Кавказе, но только в более южных районах, а также в Средней Азии.
Оба растения очень широко применяются в народной медицине.
|
|
Распространение
В диком виде переступень белый растет в Европе (на юге Швеции, Средней Европе и на Балканах, в Азии (в Турции, Иране), на Кавказе, в Средней Азии. В средней полосе, на западе и юге европейской части России он культивируется как декоративное и лекарственное растение, легко дичает.
Растет обычно в населенных пунктах у изгородей и у жилья, густо их оплетая, в местах естественного произрастания по склонам гор, среди кустарников, по речным долинам и лесным окраинам.
Заготовители часто путают переступень и тамус, растущие в одних и тех же районах.
Растет обычно в населенных пунктах у изгородей и у жилья, густо их оплетая, в местах естественного произрастания по склонам гор, среди кустарников, по речным долинам и лесным окраинам.
Заготовители часто путают переступень и тамус, растущие в одних и тех же районах.
Химический состав
В корнях переступня белого найдены гликозиды (4,56%) - брионин и брионидин, брионицин, брионол, брионоловая кислота, в небольшом количестве дубильные вещества, сапонины, смолы под названием бриорезин, крахмал, органические кислоты, фитостерин, эфирное масло (0,34%), обладающее бактерицидным свойством.
Корни переступня двудомного содержат гликозиды (2,16%): бриомарид, бриодулькозид, бриобиозид, а также неизученные тритерпеноид и стерип. В плодах найден пигмент ликопин - тот же, что и в томатах.
Корни переступня двудомного содержат гликозиды (2,16%): бриомарид, бриодулькозид, бриобиозид, а также неизученные тритерпеноид и стерип. В плодах найден пигмент ликопин - тот же, что и в томатах.
Используется
В народной медицине переступень белый применяются внутрь в малых дозах как слабительное и мочегонное средство, при кашле, как кровоостанавливающее при маточных кровотечениях, при воспалении легких, бронхитах и плевритах, при некоторых глазных болезнях, эпилепсии и других болезнях.
Описание лекарственной формы
• Отвар корня переступня: 20 г корня на 1 стакан воды по 1 л. 3 раза в день или настойку (75 г корня па 1/2 стакана спирта) по 10 капель 3 раза в день при подагре, болезнях легких и сердца.
• При заболевании горла пьют по 1 л. и полощут горло, полощут больные зубы. Отваром травы обкладывают больное горло.
• Распаренный корень прикладывают на чирьи, нарывы, применяют при воспалении внутреннего уха.
• Свежий истолченный корень используют при невралгии, опухолях суставов и как болеутоляющее средство.
• Мазь: смешать 1 часть сока из корня и 4 части несоленого сливочного масла или вазелина. Втирая мазь или настойку корня, лечат ревматизм и радикулит, паршу на коже головы.
• Наружно используют при острых радикулитах, различных невритах, невралгиях, люмбаго, плекситах и ишиасе, ревматизме, подагре и других болезнях. Больные места растирают свежим корнем, его отваром или настойкой на водке.
• При заболевании горла пьют по 1 л. и полощут горло, полощут больные зубы. Отваром травы обкладывают больное горло.
• Распаренный корень прикладывают на чирьи, нарывы, применяют при воспалении внутреннего уха.
• Свежий истолченный корень используют при невралгии, опухолях суставов и как болеутоляющее средство.
• Мазь: смешать 1 часть сока из корня и 4 части несоленого сливочного масла или вазелина. Втирая мазь или настойку корня, лечат ревматизм и радикулит, паршу на коже головы.
• Наружно используют при острых радикулитах, различных невритах, невралгиях, люмбаго, плекситах и ишиасе, ревматизме, подагре и других болезнях. Больные места растирают свежим корнем, его отваром или настойкой на водке.
Противопоказания
Оба растения сильно ядовиты. При передозировке вызывают отравление с рвотой, сильными болями в брюшной полости, с судорогами и параличом центральной нервной системы.
|


