Другие названия и синонимы
Brionia alba.
Описание
Переступень белый входит в число растений семейства под названием тыквенные, в латинском языке название этого растения будет звучать следующим образом: вrionia alba L. Что касается названия самого семейства переступня белого, то по-латински оно будет так: сucurbitaceae Juss.
|
|
Характеристика
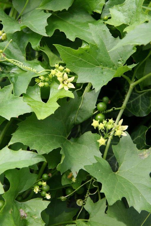
Переступень белый известен под многочисленными народными названиями: переступ, змиева трава, переступень черноплодный, тарамишек-трава. Переступень белый представляет собой многолетнюю травянистую лиану, длина которой составляет около двух-четырех метров. Стебли этого растения являются голыми или же могут быть усажены посредством мелких шипиков. Листья переступня белого находятся на довольно длинных черешках, в очертании они будут яйцевидно-треугольными, они будут сердцевидными и шершавыми, а также неравномерно крупнозубчатыми. Цветки этого растения окрашены в желтовато-белые тона, при этом тычинковые цветки располагаются в кистях, которые в свою очередь находятся в самой верхней части стебля. Пестичные цветки находятся в щитковидных соцветиях. Венчик переступня белого является пятилопастным, он окрашен в желтоватые тона и наделен зелеными жилками. Плод этого растения представляет собой шаровидную по форме ягоду, окрашенную в черные тона.
Цветение переступня белого приходится на период, начиная с мая и заканчивая июнем месяцем. В природных условиях это растение встречается на территории Беларуси, Украины, Молдовы, Средней Азии, Кавказа и всех районов европейской части России, за исключением только Заволжского, Карело-Мурманского, Двинско-Печорского и Нижне-Волжского района. Что касается общего распространения, то это растение можно встретить на территории Северного Ирана, Малой Азии и Западной Европы. Для произрастания переступень белый предпочитает долины и ущелья рек, лесные опушки, места среди кустарников, скалы, сады и парки. Примечательно, что это растения является еще и декоративным, а также будет ядовитым. Ядовитыми являются все части растения, в особенности же это касается корней, плодов и молодых побегов.
Цветение переступня белого приходится на период, начиная с мая и заканчивая июнем месяцем. В природных условиях это растение встречается на территории Беларуси, Украины, Молдовы, Средней Азии, Кавказа и всех районов европейской части России, за исключением только Заволжского, Карело-Мурманского, Двинско-Печорского и Нижне-Волжского района. Что касается общего распространения, то это растение можно встретить на территории Северного Ирана, Малой Азии и Западной Европы. Для произрастания переступень белый предпочитает долины и ущелья рек, лесные опушки, места среди кустарников, скалы, сады и парки. Примечательно, что это растения является еще и декоративным, а также будет ядовитым. Ядовитыми являются все части растения, в особенности же это касается корней, плодов и молодых побегов.
Используется
Переступень белый наделен весьма ценными целебными свойствами, при этом с лечебной целью рекомендуется использовать корни, плоды, семена, листья и стебли этого растения. Заготавливать корни рекомендуется до начала цветения этого растения.
Наличие столь ценных целебных свойств рекомендуется объяснять содержанием в составе этого растения алкалоидов, высших жирных кислот, эфиров, бриноловой кислоты, кукурбитацинов, эфирного масла, сахарозы, полисахаридов, крахмала, дубильных веществ, мочевины, метиловых эфиров олеиновой, пальмитиновой и линолевой кислоты. В надземной части переступня белого будут присутствовать тритерпеноиды и дубильные вещества.
Отвар, приготовленный на основе этого растения, рекомендуется использовать в ваннах при ревматизме. Примечательно, что препараты на основе переступня белого наделены весьма эффективными противоопухолевыми свойствами, а довольно невысокую активность будет проявлять эфирный экстракт этого растения.
Настойку на основе свежих корней этого растения применяют в составе комплексного препарата для лечения плекситов, люмбаго, ревматизме, радикулитов и невритов.
Следует отметить, что переступень белый получил довольно широкое распространение в гомеопатии. Здесь это целебное средство применяется при неврите, негнойном бурейте, бронхите, головной боли, различных глазных болезнях, асците, невралгии, хроническом артрите, опущении почек, коклюше, а также в качестве средства, повышающего тонус поперечно-полосатых мышц.
Наличие столь ценных целебных свойств рекомендуется объяснять содержанием в составе этого растения алкалоидов, высших жирных кислот, эфиров, бриноловой кислоты, кукурбитацинов, эфирного масла, сахарозы, полисахаридов, крахмала, дубильных веществ, мочевины, метиловых эфиров олеиновой, пальмитиновой и линолевой кислоты. В надземной части переступня белого будут присутствовать тритерпеноиды и дубильные вещества.
Отвар, приготовленный на основе этого растения, рекомендуется использовать в ваннах при ревматизме. Примечательно, что препараты на основе переступня белого наделены весьма эффективными противоопухолевыми свойствами, а довольно невысокую активность будет проявлять эфирный экстракт этого растения.
Настойку на основе свежих корней этого растения применяют в составе комплексного препарата для лечения плекситов, люмбаго, ревматизме, радикулитов и невритов.
Следует отметить, что переступень белый получил довольно широкое распространение в гомеопатии. Здесь это целебное средство применяется при неврите, негнойном бурейте, бронхите, головной боли, различных глазных болезнях, асците, невралгии, хроническом артрите, опущении почек, коклюше, а также в качестве средства, повышающего тонус поперечно-полосатых мышц.
|



